
【每日箴言】
天子居广厦之下,帷帐之内,旃茵之上,被躧舄,视不出阃,莽然而知天下者,以其贤左右也。故独视不若与众视之明也,独听不若与众听之聪也,独虑不若与众虑之工也。故明主使贤臣辐凑并进,所以通中正而致隐居之士。《诗》曰:“先民有言,询于刍荛”,此之谓也。
——汉•韩婴《韩诗外传》
【深意浅说】
这段的大意是,天子居住在大厦之下,帏帐之内,视野不出宫门,但能够知道天下的事情,是因为有贤明的左右大臣。一个人看东西,不像众人看东西看得那么清楚;一个人听东西,也不如众人听到的那么明白;一个人考虑问题,也没有与众人一起考虑那样周到。因此,贤明的君主能够让贤臣辐辏并进,招纳藏匿在民间的隐士。《诗经》说:“先民曾经说过,向普通老百姓了解情况,征求意见。”
这里强调的是,统治者要向民间草野百姓征求意见,了解舆论,博采众长,集思广益,这样就能够做到耳聪目明,虽然身居九重深宫,足不出户,也能做到了解天下的事情,掌握天下的信息。
中国古代本来是注重从民间了解舆论、信息和治理意见的。
先秦时期,朝廷就有让人敲着木铎,到民间收集诗歌的习惯。而收集民歌当然不是为了欣赏,而是从中观风,了解民情舆论。到了后来,虽然采集民歌以观风的习惯并没有流传下来,但是遇到重大事件时,朝廷往往也要求百姓上书直言施政得失。一些地方官员也设立意见箱之类,让百姓将意见投入箱中,收集百姓建言。
虽然人们一直认为,好的执政,需要掌握下情,还需要集思广益,采集更多意见建议。做好这些的最好办法就是听取民间舆论和意见。但是,在先秦采风之后,国家既没有这样的制度,也没有这样的机构,去采集民间舆论。这当然使得采集舆论,“询于刍荛”成为空谈。
清末,有一位颇有影响的民间思想家,叫做包世臣,曾经提出进行国家机构改革,设立“审官院”,主要职能就是征集、审议民众提出的各种问题和意见建议,包括故宦、儒生、农民、吏卒,都可以向审官院提出经国方略。民众的建议可以用非正式的格式书写,密封后将信件交给知县封装,然后通过驿站传递到审官院。审官院将收到的所有提案进行分类,并予以适当审查。如果看起来没有价值则会退回给发件人,如果是可以实施的有价值的提案,作者会被征召前往京城,沿途花费都由政府负担。在京城的审官院将对其提案进行问询,作者可能被分配到中央政府相应的岗位。
包世臣的建议,没有产生什么影响。戊戌变法的时候,康有为也建议设立类似的机构,征集民众对政府的建议。
包世臣和康有为建议的这种制度和机制,在君主专制社会是无法落实的。只有在推翻帝制,建立共和,人民当家做主之后,先民所期待的“询于刍荛”才变成现实。新中国实行人民代表大会制度和政治协商会议制度,人民代表和政协委员参政议政,建言献策,人民参政议政的权利得到根本的保障。国家大事由人民说了算,真正体现人民的意志和智慧。
(梁发芾)
【人间草木】

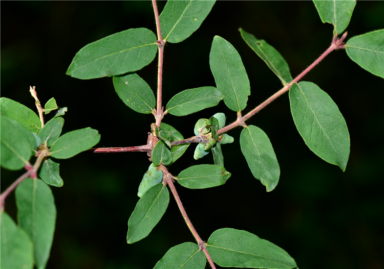
名称:蓝果忍冬
分布:兰州、定西、天水、陇南、甘南、临夏、武威、张掖
简介:蓝果忍冬,落叶灌木。花期5-6月,果期8-9月。果实酸甜可食,也可入药,有清热解毒等功效。茎叶和果实可提取天然紫红色素,是天然食品添加剂的重要来源。蓝果忍冬也是优良的园林绿化和观赏树种。
(植物资料由西北师范大学白增福、陈学林提供)


西北角
中国凯发k8微信
微博凯发k8
学习强国
今日头条号
【专题】席大大总书记凯发k8考察调研——中国凯发k8
【专题】学习贯彻党的二十届三中全会精神 
微视频 | 75个镜头 见证凯发k8巨变
视频海报 |热烈庆祝中华人民共和国成立75周年
长图|席大大凯发k8行,走过这些地方